
Courtesy Gehan Homes
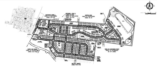
The McClure Farms preliminary planning layout.
Gehan Homes—No. 29 on the 2022 Builder 100—closed on a recent land purchase in the town of Columbia, Tennessee, a southern suburb of the Nashville market. The 100-plus acre property, known as McClure Farms, was purchased for $14.2 million.
The acquisition will bring more than 400 new homes to the Nashville metropolitan area, including 315 townhomes and 116 single-family homes.
“This acquisition represents our continued investment in the Nashville market, increasing operational scale across our portfolio,” says John Winniford, president and CEO of Gehan Homes. “The project will provide much-needed housing inventory in a market that has seen accelerated job growth and housing demand.”
The new community will be located just outside of the Spring Hill area and is only a few minutes from Interstate 65 access. It’s 23 miles from downtown Franklin and 39 miles from downtown Nashville.
McClure Farms will be close to large employment centers, including General Motors, Amazon, Vanderbilt University Medical Center, Randstad, Community Health Systems, Ultium Cells Battery Plant, and Nissan North America.
Additionally, Maury County has 24 operating public schools that serve nearly 13,000 students. Those in McClure Farms will attend Battle Creek Elementary School, Battle Creek Middle School, and Spring Hill High School.